学芸員の渡辺がハチの新種を報告しました
2018年4月13日更新
当館学芸員の渡辺は、中国国家林業局の盛茂領(Sheng Mao-Ling)博士と共同で、ウスマルヒメバチ属Exetastes(ヒメバチ科、ウスマルヒメバチ亜科)の寄生蜂を分類学的に検討した論文を、動物分類学の国際的学術誌であるZootaxaに発表しました。この論文では、以下の1種のヒメバチを新種として記載・命名しました。
Exetastes compressus Watanabe & Sheng, 2018
分布:本州(兵庫県)、中国(北京、湖北省、遼寧省)
タイプ産地:中華人民共和国遼寧省
種小名は腹部後方が横から圧されていること(つまり、背面からみて幅が狭い)によります。
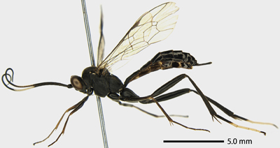
本種の発見は,渡辺が日本産のウスマルヒメバチ属の標本を観察していたところ、フクチヤマウスマルヒメバチE.fukuchiyamanus Uchida, 1928と同定されていたハチの中に、形態が異なるものを見つけたことがきっかけです。その後、中国から記録されたフクチヤマウスマルヒメバチの中にも該当するものがあったため、日中のヒメバチ研究者による共同研究として新種記載しました。興味深いことに、中国では個体数の多い種のようですが、日本では極めて珍しい種と思われ、パラタイプに指定した1個体以外の標本は、日本のどの研究機関からも見つかっていません。近年、中国のヒメバチ相の解明が急速に進み、このようなアンバランスな分布特性を示す種が他にもいることが分かってきたため、その原因の解明が望まれます。今回の論文では,中国産の標本を学名の基準となるホロタイプに指定しました。これは、個体数が潤沢にある地域の標本や、状態の良い標本をホロタイプに指定することが望ましいからです。
論文で使用された標本のうち、パラタイプ(KPM-NK 5006675)が、当館に収蔵されています。
なお、新種記載とは,他の種と区別するための形態的な特徴を明らかにし、対象の生物(厳密にはホロタイプ)に対して学名を与えることです。日本国内で使用する標準和名については、今回の論文では提唱していないことから、今後しかるべき出版物で行う予定です。
※KPM-NKは当館の資料番号であることを示す記号です。

図. Exetastes compressus Watanabe & Sheng, 2018のホロタイプ
論文詳細
Watanabe, K. & M-L. Sheng, 2018. Taxonomic notes on Exetastes fukuchiyamanus Uchida, 1928 (Hymenoptera,
Ichneumonidae, Banchinae), with description of a new species from Japan and China. Zootaxa, 4399(2): 281-288.